हैतीमध्ये मेलिसा चक्रीवादळाच्या पुरामुळे 40 लोकांचा मृत्यू झाला कारण बुधवारी क्युबामध्ये वादळाने जमैका सोडल्यानंतर अजूनही व्यापक नुकसान आणि वीज खंडित झाली आहे, अधिकाऱ्यांनी सांगितले.
हैतीच्या सिव्हिल प्रोटेक्शन एजन्सीसह स्टीव्हन अरिस्टिल यांनी असोसिएटेड प्रेसला सांगितले की 20 मृत्यू दक्षिणेकडील किनारपट्टीवरील पेटिट-गोवे येथे नोंदवले गेले आहेत, जिथे आणखी 10 बेपत्ता आहेत.
याआधी बुधवारी, पेटिट-गोव्हच्या महापौरांनी एपीला सांगितले की त्या समुदायातील किमान 25 लोक मारले गेले आहेत.
“मी परिस्थिती पाहून भारावून गेलो आहे,” जीन बर्ट्रांड सौब्रेम म्हणाले की त्यांनी सरकारला पीडितांना वाचवण्यासाठी मदत करण्याची विनंती केली.
हैतीमध्ये मृत आणि बेपत्ता झालेल्यांची संख्या मोठ्या नैसर्गिक आपत्तीनंतर सुरुवातीच्या दिवसांमध्ये चढ-उतार होते.
मुसळधार पाऊस सुरू असल्याने मृतांचा आकडा वाढण्याची अधिका-यांना अपेक्षा आहे, असे अरिस्टिल यांनी सांगितले.
पूर्व क्युबात, शेकडो हजारो लोकांना स्थलांतरित करण्यात आले आणि ग्रॅन्मा, सँटियागो डी क्युबा, ग्वांटानामो, होल्गुइन आणि लास टुनास या प्रांतांसाठी चक्रीवादळ चेतावणी लागू करण्यात आली कारण मेलिसा चक्रीवादळ बुधवारी पहाटे 3 श्रेणीच्या वादळाच्या रूपात जमिनीवर आले.
हैतीच्या सिव्हिल प्रोटेक्शन एजन्सीचा फक्त एक अधिकारी या भागात होता, अलिकडच्या दिवसांत मेलिसा चक्रीवादळातून आलेल्या मोठ्या पुराच्या पाण्यामध्ये रहिवाशांना बाहेर काढण्यासाठी लढा देत होता.
मेलिसाने क्यूबाला श्रेणी 3 चक्रीवादळ म्हणून ओलांडले, परंतु त्यानंतर ते श्रेणी 2 चक्रीवादळात उतरवले गेले. या प्रदेशात 3.6 मीटर पर्यंत वादळ आणि पूर्व क्युबाच्या काही भागांमध्ये 51 सेंटीमीटर पर्यंत पाऊस होण्याची अपेक्षा होती.
मेलिसा बुधवारी नंतर आग्नेय किंवा मध्य बहामासमधून जाण्याची अपेक्षा होती, जिथे चक्रीवादळाचा इशारा लागू आहे. गुरुवारी उशिरापर्यंत ते बर्म्युडाच्या जवळ किंवा पश्चिमेकडे मार्गस्थ होण्याची अपेक्षा होती. हैती आणि तुर्क आणि कैकोस देखील त्याच्या प्रभावासाठी प्रयत्न करीत आहेत.
कोसळलेली घरे, डोंगरावरचे रस्ते आणि उडालेली छप्परे बुधवारी क्युबाला धडकली, अधिकाऱ्यांनी सांगितले की, सर्वाधिक विनाश नैऋत्य आणि वायव्य भागात केंद्रित आहे. पूर्व क्युबात सुमारे 735,000 लोक आश्रयस्थानात आहेत, असे अधिकाऱ्यांनी सांगितले.
“तो नरक होता. संपूर्ण रात्र, ती भयंकर होती,” सँटियागो डी क्युबातील रेनाल्डो चारोन म्हणाले. बुधवारी थांबलेल्या आणि मुसळधार पावसात प्लॅस्टिकच्या चादरीने झाकून बाहेर पडलेल्या काही लोकांपैकी 52 वर्षीय हा एक होता.
मेलिसाने छप्पर उखडून टाकले आणि झाडे उन्मळून पडली, परंतु नुकसान किती प्रमाणात झाले हे लगेच कळू शकले नाही.
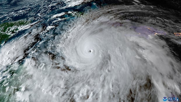
चक्रीवादळ मेलिसाचे श्रेणी 5 वारे मंगळवारी सकाळी पश्चिम जमैकामधून वाहात गेले, जे आतापर्यंतच्या सर्वात मजबूत अटलांटिक लँडफॉल्सपैकी एक आहे. सीबीसीच्या जोहाना वॅगस्टाफने मेलिसा एका नवीन चक्रीवादळ युगाचा भाग कसा असू शकतो हे पाहतो: विक्रमी-उबदार समुद्र आणि बदलत्या जेट प्रवाहामुळे वादळ कमी झाले.
‘हा रस्ता सोपा असणार नाही’
यानेत्सीचे गव्हर्नर टेरी गुटेरेस यांनी सांगितले की, ग्रॅन्मा प्रांतातील काही भाग, विशेषत: नगरपालिकेची राजधानी जिगुआनी पाण्याखाली आहे. चारको रेडोंडोच्या जिगुआनी वसाहतीमध्ये 40 सेंटीमीटरपेक्षा जास्त पाऊस झाला.
चक्रीवादळामुळे क्युबाचे गंभीर आर्थिक संकट आणखीनच बिघडू शकते, ज्यामुळे आधीच वीज खंडित झाली आहे, इंधनाची कमतरता आणि अन्नाची कमतरता आहे.

“खूप काम करणे आवश्यक आहे. आम्हाला माहित आहे की तेथे बरेच नुकसान होईल,” अध्यक्ष मिगुएल डायझ-कॅनेल यांनी एका टेलिव्हिजन भाषणात सांगितले, ज्यात त्यांनी आश्वासन दिले की “कोणीही मागे राहिलेले नाही आणि लोकसंख्येच्या जीवनाचे रक्षण करण्यासाठी कोणतेही संसाधन सोडले जाणार नाही.”
जमैकामध्ये, बुधवारी 25,000 हून अधिक लोक आश्रयस्थानांमध्ये बांधले गेले होते, मेलिसाने 295 किमी/तास वेगाने वाऱ्यासह आपत्तीजनक श्रेणी 5 वादळ म्हणून लँडफॉल केल्यानंतर काही तासांनी – रेकॉर्डवरील सर्वात शक्तिशाली अटलांटिक चक्रीवादळांपैकी एक.
वादळाने त्यांच्या घरांचे छत उखडून टाकल्यानंतर आणि त्यांना तात्पुरते बेघर केल्यावर लोक दिवसभर आश्रयस्थानांमध्ये जात राहिले.
मेलिसा चक्रीवादळ क्युबाला धडकण्यापूर्वी जमैकाच्या काही भागांना धडकले, ज्यामुळे काही भागात व्यापक नुकसान, वीज खंडित आणि धोकादायक पूर आला.
जमैका, हा एक सोपा रस्ता असणार नाही, असे जमैकाच्या आपत्ती जोखीम व्यवस्थापन परिषदेचे उपसभापती डेसमंड मॅकेन्झी म्हणाले.
जमैकाचे शिक्षण मंत्री डाना मॉरिस डिक्सन यांनी सांगितले की बुधवारी 77 टक्के बेट वीजविना होते परंतु पाण्याची व्यवस्था मोठ्या प्रमाणात प्रभावित झाली नाही.
पंतप्रधान अँड्र्यू होलनेस यांनी सर्वाधिक प्रभावित भागात उड्डाण करण्याची योजना आखली आहे, डिक्सन म्हणाले, क्रू अजूनही परिसरात जाण्याचा आणि नुकसानीच्या प्रमाणात मूल्यांकन करण्याचा प्रयत्न करीत आहेत.
फेडरल अधिकाऱ्यांनी सांगितले की मेलिसाने भूकंप केल्यापासून त्यांना अद्याप मृत्यूचे कोणतेही अहवाल मिळालेले नाहीत, परंतु पुनर्प्राप्तीचा प्रयत्न किती लवकर होईल, ते सांगू शकत नाही.

सांताक्रूझ, सेंट एलिझाबेथ पॅरिश, जमैका येथे भूस्खलनामुळे रस्ते चिखलाच्या खड्ड्यात बदलले आहेत. रहिवाशांनी सामान बाहेर काढण्याचा प्रयत्न केल्याने घरातून पाणी बाहेर पडले. स्थानिक हायस्कूलमध्ये, नियुक्त केलेल्या सार्वजनिक निवाऱ्याच्या छताचा काही भाग वाऱ्याने फाटला आहे
जेनिफर स्मॉल यांनी सांगितले की, “माझ्या सर्व वर्षांमध्ये मी येथे असे काहीही पाहिले नाही.”
आपत्कालीन मदत पुरवठा जलद वितरण सुनिश्चित करण्यासाठी गुरुवारपर्यंत जमैकामधील सर्व विमानतळ पुन्हा सुरू करण्याची आशा सरकारने यापूर्वीच व्यक्त केली होती.
कॅरिबियनमधील सात मृत्यूंसाठी वादळ आधीच दोषी ठरले आहे: जमैकामध्ये तीन तयारी-संबंधित मृत्यू; हैतीमध्ये यापूर्वी तीन मृत्यू; आणि एक डोमिनिकन रिपब्लिकमध्ये, जिथे दुसरा बेपत्ता आहे.
पुनर्प्राप्तीच्या प्रयत्नांना मदत करण्यासाठी युनायटेड स्टेट्स कॅरिबियनमध्ये बचाव आणि प्रतिसाद पथके पाठवत आहे, अशी घोषणा राज्य सचिव मार्को रुबिओ यांनी बुधवारी केली. ते म्हणाले की सरकारी अधिकारी जमैका, हैती, डोमिनिकन रिपब्लिक आणि बहामासमधील नेत्यांशी समन्वय साधत आहेत.
सध्याच्या अमेरिकन प्रशासनाने जूनमध्ये क्युबावर पुन्हा आर्थिक निर्बंध लादले आणि देशातील पर्यटनावर बंदी घातली.


















