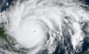
या आठवड्याच्या शेवटी अटलांटिक हंगामात अटलांटिक हंगामात प्रथम चक्रीवादळाच्या विकासाचा अंदाज एक्युएडर चक्रीवादळ तज्ञ आहेत, पुढील आठवड्याच्या शेवटी या प्रणालीने पुढच्या आठवड्याच्या शेवटी ओपन अटलांटिकवर मोठ्या चक्रीवादळाची तीव्रता वाढविली आहे. सध्याचा पाऊस सध्या आहे …

2025 अटलांटिक हंगामातील या आठवड्यात विकासासाठी प्रथम चक्रीवादळ पोस्टचा अंदाज, एक्वेव्हर अहवाल प्रथम डोमिनिका न्यूज ऑनलाईनवर आला.

Source link